Resolution No. 55-04
A Resolution Vacating a Utility Easement Located at 215 27 Road
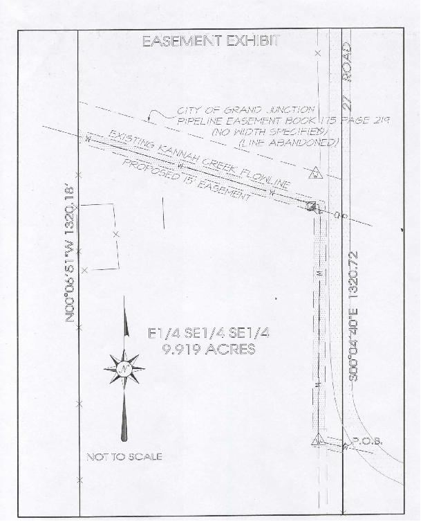
(SGH Easement Vacation)
RECITALS:
This resolution vacates the abandoned City of Grand Junction water line utility easement described in a document recorded at Book 175, Page 219 of the Mesa County records, located at 215 27 Road. The utility easement is not located in the correct location and is no longer necessary due to anticipated development of the property. A new 15’ utility easement will be dedicated where the existing water line is located to allow the City of Grand Junction to maintain the water line.
The Planning Commission, having heard and considered the request and found the criteria of Section 2.11.C of the Zoning Code to have been met, recommend that the vacation be approved.
NOW, THEREFORE BE IT ORDAINED BY THE CITY COUNCIL OF THE CITY OF GRAND JUNCTION THAT:
The following described easement is hereby vacated subject to the listed conditions:
1. Applicant shall pay all recording/documentation fees for the Vacation Resolution, any easement documents and dedication documents.
2. Any required utility easement(s) be dedicated concurrently with the recordation of the final plat with the first filing of development.
EASEMENT VACATION DESCRIPTION:
That easement described in a document recorded in Book 175 at Page 219 of the Mesa County records and as shown on the attached Easement Exhibit.
PASSED and ADOPTED this 16th day of June, 2004.
ATTEST:
/s/: Bruce Hill
President of City Council
/s/: Stephanie Tuin
City Clerk
